Вниманию отдела пассажирского транспорта и автомобильных дорог Актау, а также отделу дорожной и технической инспекции отделения административной полиции УП Актау.
Вниманию отдела пассажирского транспорта и автомобильных дорог Актау, а также отделу дорожной и технической инспекции отделения административной полиции УП Актау.
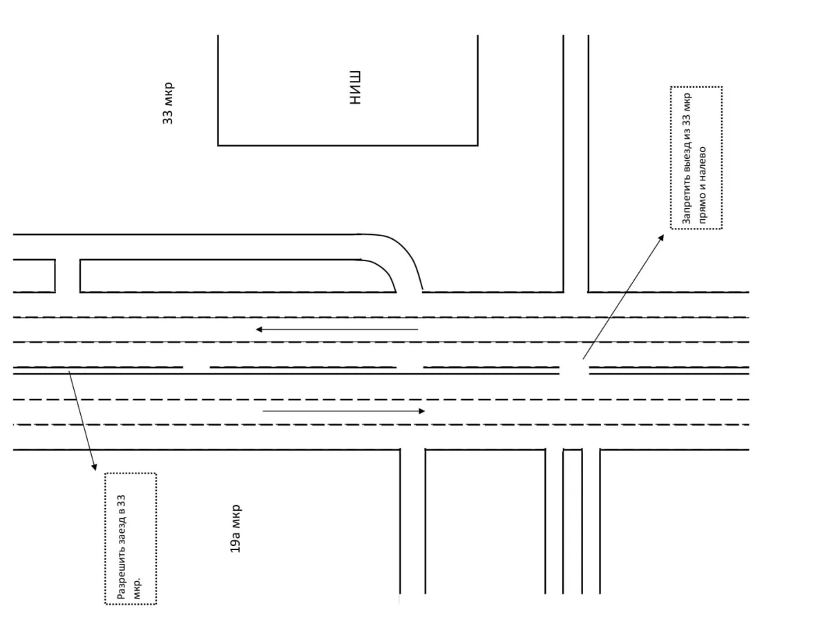
Прошу Вас изменить разметку на дороге между 33 мкр и 19А мкр г. Актау, как указано в прилагаемой схеме, так как выезд из 33 мкр возле НИШ сквозной, там часто происходят ДТП. Получается сейчас есть три выезда из 33 мкр, а заезд в 33 мкр всего лишь один напротив НИШа и то связан с выездом (сквозная), по этой причине это создает большие неудобства жителям 33 мкр и часто происходят ДТП. Также просим разрешить заезд, изменив разметку в 33 мкр, как указано в прилагаемой схеме.

Комментарии
0 комментарий(ев)